短萼鸡眼草Kummerowia stipulacea(Maxim.)Makino
别名:长萼鸡眼草,掐不齐
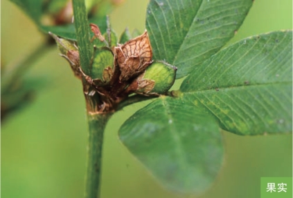
形态特征:一年生草本,高7~15厘米。茎平伏、上升或直立,茎和枝上被向上的白毛。叶互生;三出羽状复叶,小叶片倒卵形、宽倒卵形或倒卵状楔形,长5~18毫米,宽3~12毫米,顶端微凹或近截形,全缘。花常1~2朵腋生;花萼5裂;花冠淡红紫色。荚果椭圆形或卵形,稍侧偏,长约3毫米,具微凸的小刺尖。花期7—8月,果期8—10月。
生境:生于路边稍湿草地、沙砾质地、山坡、河岸草地、固定或半固定沙丘等处。
分布:中国东北、华北、西北、华东、华中、中南。俄罗斯、朝鲜、日本也有分布。本地广布。
用途:(1)全草入药,有清热解毒、利尿的功效,主治感冒发热、咳嗽胸痛、中暑腹泻、痢疾、肝炎等症。(2)可作饲料。(3)可作绿肥。


