叶底珠Securinega suffruticosa(Pall.)Rehd.
别名:一叶萩,狗杏条
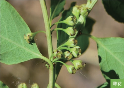
形态特征:落叶灌木,高1~2米。小枝黄绿色,老枝灰褐色。叶互生;叶片椭圆形或长椭圆形,长2~6厘米,宽1~3厘米,边缘稍有波状齿或全缘。花单性,雌、雄异株,簇生于叶腋;花小,淡黄色;雄花3~18朵簇生,花梗长1~5毫米,萼片通常5枚;雌花单生或2~3朵簇生,花梗长2~15毫米,萼片5枚。蒴果成熟时淡红褐色,三棱状扁球形,直径约5毫米,有网纹,3爿裂。种子褐色,半圆形,长约3毫米,具3棱,表面有小疣状突起。花期6—7月,果期8—9月。
生境:生于干山坡灌丛、山坡向阳处。
分布:除西北各省区外,中国其他各省区均有分布。本地广布。
用途:(1)茎皮纤维坚韧,可供纺织原料用。(2)花、叶、根、嫩枝叶入药,有祛风活血、补肾强筋的功效,主治面部神经麻痹、小儿麻痹后遗症、眩晕、耳聋、神经衰弱、阳痿等症;根皮煮水,外洗可治牛、马虱子危害。(3)可作为水土保持植物。



