三、实际应用
在城市地下管线赋存处,由于场地物性、周围环境及地电条件不同,在实施地下管线探查中,有的物探方法受到一定的限制,而电磁法专用管线仪的应用有其独特的优越性。实践应用证明,在城市地下管线探查中,根据不同条件,合理选用直接法、夹钳法、感应法探查给水金属管线,都是行之有效的方法。定位采用极值法,定深采用直读法或70%法均可;根据方法试验,得出不同地电条件下的修正系数,对探查深度进行修正,可以得到比较准确的管线埋深。对电力电缆可采用50~60Hz工频法(被动源法)、夹钳法和感应法进行探查;而对于电信电缆可采用夹钳法、感应法及直接法进行探查[32]。
金属管线探测中,在单一管线、地电条件简单的情况下比较容易探查,在多条管线或地电条件较复杂的情况下,可根据不同的条件进行方法试验。通过开挖验证评定探测方法的有效性,做到最合理、最正确的定位及定深。在地电条件简单、外界干扰较小的环境下,探查口径较大、管道壁有钢筋网的非金属管线(如排水管、上水管)时,采用高频感应电磁法探查也能取得较好的效果。
在某一测区内,对于金属地下管线,利用管线的露头进行直接法或夹钳法探查具有较高的分辨率,是探查地下管线的首选方法。在无管线露头的情况下,对地下管线进行被动源法或感应法搜索。先了解地下管线的分布情况,然后对各管线进行追踪定位。不同类型管线的物性、分布、结构等不同,故探查方法也不相同。正确选择和合理使用探测方法和技术,可以取得较好的探测效果。
1.给水管线的探查
给水管线多为铸铁管,少量为混凝土管和塑料管。对金属焊接管,其电连接性较好,管线上方具有较好的异常。铸铁管出很多短管对接而成,在连接点处,电连接性较差,对电磁信号阻抗较大;在干燥地区,金属管线与大地间组成的回路中,也具有较高的阻抗,管线异常弱。但上水管害井、露头较多,在探测中采用直接法、感应法、夹钳法或各方法综合应用,都能取得较好的探测效果。
2.电力电缆的探查
电力电缆有50~60Hz的交流电,用工频法探查较直接,夹钳法、感应法也是探查电缆的重要技术手段。使用夹钳法探查高压电缆时,若电缆中载有较强的电流,夹钳内会产生较强的感应电流,操作时不要碰触夹钳的接头处。
(1)单条电缆探查。某建筑工地埋一高压电缆,为指导施工需探明电缆的准确位置及埋深,利用管线仪接收机采用工频法进行搜索,得一峰值信号,沿信号追踪,初步断定为地下管线,用极值法对异常进行进一步的准确定位。之后采用70%法定深为0.80m左右,经开挖,证实为探查的地下电缆,平面位置及埋深都非常准确。
(2)多根电缆(电缆束)探查。某地区有4条高压直埋输电电缆,长度为2km。4条电缆埋在人行道一侧宽度为0.5m的沟内,有3条110kV的输电电缆,1条15kV的导引电缆。使用管线仪接收机用被动源法(工频法)进行搜索,得一信号异常曲线(图4-49),然后追踪,确定为地下电缆,又用感应法(8kHz)进行探查,得异常曲线(图4-50),两种峰值曲线迥然不同。经分析知,由于电缆的异常叠加,形成双峰曲线,可理解为电缆的传输方向相反。曲线特征为一边衰减较慢,另一边衰减较快。在感应法中各条电缆异常的叠加,其异常峰值在4条电缆的中心位置。
经分析,由于异常叠加,所探得的深度都与管线的实际深度存在较大的误差。在这一测区内,电缆敷设较长,为了验证分析及取得在此情况下探查深度的修正系数。在多点处进行开挖,其结果与先前分析一致,同时取得了修正系数,对探查深度进行修正后,取得了较好的探查效果。

图4-49 工频法异常曲线(https://www.daowen.com)

图4-50 感应法(8kHz)异常曲线
(3)电信电缆的探查。电信电缆以单根或电缆束状形式存在,外层包有胶皮,一般不用直接法,多采用夹钳法、感应法或被动源法进行探查。
(4)燃气管道探查。燃气管道带有危险气体,禁止使用直接法探查。燃气管道为钢管,多为焊接或使用螺丝对接,电连接性较好,采用感应法、夹钳法或被动源法进行探查。而有些入户支管的对接处包有绝缘胶带,电连接性较差,一般采用多种方法综合探查。
例如,在某大道有一直径为529mm的煤气管道(图4-51),首先采用管线仪对地下管线搜索追踪,在A点处信号迅速衰减,确定管道在此折转;通过圆形搜索法,重新抓住信号的走向,即管道走向,继续追踪,在B点处,向前少许,信号又迅速衰减;再用圆形搜索法,抓住信号继续追踪,初步判定管线的走向;然后对管线进行精确定位(极值法)、定深(70%法)。最后监理部门用地质雷达检查,探测结果符合要求。

图4-51 煤气管道分布推测
(5)工业管道的探查。工业管道按载体可分为多类,对载有易燃易爆物质(如氧气、油、乙炔等)的管道,严禁使用直接法探查,应采用感应法、夹钳法或被动源法探查,对热力管道可配合采用红外辐射法。
(6)排水管道的探查。排水管道多为混凝土管,窨井较多,一般以调查为主,可以在条件允许的情况下用示踪法进行探查。
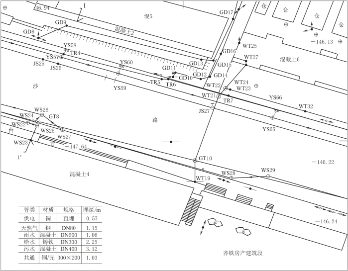
在某城市开发区地下管线普查工程中,以频率域电磁法为主进行地下管线探查,图4-52是最后形成的综合地下管线探测成果,频率域电磁法作为管线探查的主要手段发挥了重要作用,其中的电力、通信、给水、煤气管线均采用频率域电磁法探查定深和定位。经重复探查和钎探验证,精度符合CJJ/T61—2003《城市地下管线探测技术规程》的规定。

图4-52 地下管线探测成果