断带黄斑蜾蠃Katamenes tauricus (de Saussure, 1855)
2026年01月14日
33.断带黄斑蜾蠃
Katamenes
tauricus (de Saussure, 1855)
【测量】 雌性体长18.2~19.3 mm,前翅长13.6~14.3 mm;雄性体长16.3~17.8 mm,前翅长13.1~14.2 mm。
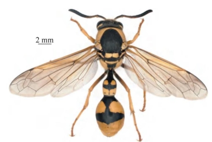
【形态特征】 体黑色,具大量黄色斑;唇基部分黄色,雌性唇基中部具大块黑色斑,雄性唇基缘及附近黑色,雌性黄色区域较雄性略大;前胸背板整个或绝大部分区域为黄色,中胸盾片纯黑而无黄色斑;腹部第1、2节端部分别具宽的黄色条带,且两侧均具1对黄色斑,其中第2节背板侧斑宽而长、中部断开而未连接。雌性唇基宽大于长,端部凸起,端部宽约为唇基宽的1/3,具浅的小刻点;雌性柄节无长毛;雄性头部被毛且远短于柄节;雄性中足基跗节长略大于最宽处2倍。
【地理分布】 黑龙江、吉林、内蒙古(鄂尔多斯、包头、武川、通辽、阿拉善)、天津、河北(秦皇岛、张家口)、山西(大同)、山东、宁夏(吴忠)、新疆(昌吉、伊犁、阿克苏);蒙古,俄罗斯(远东),印度,阿富汗,吉尔吉斯斯坦,哈萨克斯坦,伊朗,乌克兰。

图2-33-1 断带黄斑蜾蠃Katamenes tauricus雌性背面观(https://www.daowen.com)

图2-33-2 断带黄斑蜾蠃Katamenes tauricus雌性头部正面观

图2-33-3 断带黄斑蜾蠃Katamenes tauricus地理分布图

图2-33-4 断带黄斑蜾蠃Katamenes tauricus生态图1(俄罗斯 Alexander V. Fateryga 摄)

图2-33-5 断带黄斑蜾蠃Katamenes tauricus生态图2(河北秦皇岛 张波 摄)