弓费蜾蠃指名亚种Phimenesflavopictusflavopictus (Blanchard...
2026年01月14日
35.弓费蜾蠃指名亚种
Phimenesflavopictusflavopictus (Blanchard, 1804)
【测量】 雌性体长21.8~22.7 mm,前翅长16.8~17.9 mm;雄性体长18.8~19.7 mm,前翅长14.7~15.6 mm。
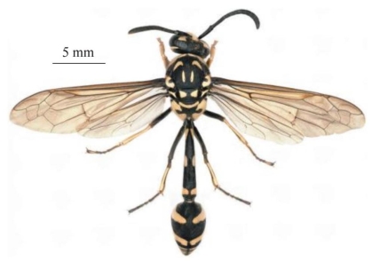
【形态特征】 体黑色,具大量黄色斑。雌、雄性唇基皆为黄色,中胸盾片前基部具1对单引号状黄色斑,后端部具1对短的纵条带,腹部各节背板黄色条带中间断开且不连接,其中第1节基部及中部两侧分别具1对黄色斑,第2节基部具1对黄色侧斑。唇基长明显大于宽,基部近平、仅略凹,端部轻微凹陷(雄性唇基端部凹陷更显著),端部宽接近唇基宽的1/2,侧面观隆起,具稀疏刻点和短毛;雄性触角第13节钩状,向后折回至第10节基部;后头脊不发达;后单眼至后头脊的距离约为后单眼至复眼间距的1.6倍;中胸盾片密生刻点;腹柄细长、端部无明显膨大。
【地理分布】 浙江、湖南(衡阳)、福建、台湾、广东、香港、广西(桂林、河池、百色、崇左、兴安)、四川、云南(临沧、红河)、西藏(背崩);越南,老挝,泰国,印度,缅甸,尼泊尔,不丹,斯里兰卡,马来西亚,新加坡,印度尼西亚。

图2-35-1 弓费蜾蠃指名亚种Phimenesflavopictusflavopictus雌性背面观(https://www.daowen.com)

图2-35-2 弓费蜾蠃指名亚种Phimenesflavopictusflavopictus地理分布图

图2-35-3 弓费蜾蠃指名亚种Phimenesflavopictusflavopictus生态图1(云南普洱 李智宏 摄)

图2-35-4 弓费蜾蠃指名亚种Phimenesflavopictusflavopictus生态图2(云南西双版纳 陈尽虫 摄)