147.罗浮小柄蜾蠃
Labus
lofuensis Giordani Soika, 1973
【测量】 雌性体长7.5~7.8 mm,前翅长5.4~5.7 mm;雄性体长7.4~7.8 mm,前翅长5.3~5.8 mm。
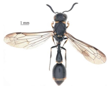
【形态特征】 体黑色,具黄色斑;前翅缘室为淡褐色。雌性前单眼之前的窝穴轮廓明显、深而圆且明显大于前单眼;雄性触角第4~13节腹部棕色,第13节细长稍扁,向后折回至第11节基部。前胸背板两侧肩角中等长而尖,明显上翘;并胸腹节亚缘脊薄片基部具齿突。腹部第1节背板端部膨大区域稍小于该背板长的1/2。
【地理分布】 广东(惠州)、海南(乐东、白沙)、广西(岑溪、百色、玉林)、云南(西双版纳、红河、保山);越南。

图2-147-1 罗浮小柄蜾蠃Labus lofuensis雌性背面观

图2-147-2 罗浮小柄蜾蠃Labus lofuensis雌性头部正面观

图2-147-3 罗浮小柄蜾蠃Labus lofuensis雌性头部背面观

图2-147-4 罗浮小柄蜾蠃Labus lofuensis雌性并胸腹节背面观

图2-147-5 罗浮小柄蜾蠃Labus lofuensis地理分布图