跳马蜂Polistes (Polistes) associus Kohl, 1898
2026年01月14日
296.跳马蜂
Polistes (
Polistes)
associus Kohl, 1898
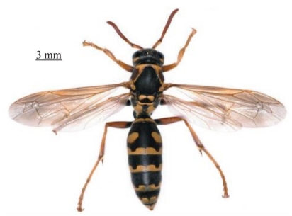
【测量】 雌性体长8.6~10.9 mm,前翅长9.0~12.0 mm;雄性体长7.5~11.5 mm,前翅长8.0~11.0 mm。
【形态特征】 体黑色,明显具大量黄色及少量红棕色斑,上颚通常具黄色斑;触角除柄节外、足及前胸背板除基部外均为红棕色,前胸背板基部常为黄色,前胸背板内侧的黄色条带与前横带连接;后足基节背面为黑色;胸部及腹部黄色斑和条带不及强马蜂Po listes (Po listes) dominu la的宽,条带两侧常具U形凹陷。雌性唇基中部具完整的黑色横条带,明显散生大刻点,宽略大于中部长;雄性唇基长大于宽,两侧脊发达、中部平坦,整个唇基呈U形凹陷状;雄性触角第13节长,长几乎为宽的3倍。
【地理分布】 河北(白洋淀)、甘肃(嘉峪关);中欧及西欧各国,土耳其,以色列,阿塞拜疆,印度。
(https://www.daowen.com)
图4-296-1 跳马蜂Polistes (Polistes) associus雌性背面观

图4-296-2 跳马蜂Polistes (Polistes) associus雌性头部正面观

图4-296-3 跳马蜂Polistes (Polistes) associus雄性头部正面观

图4-296-4 跳马蜂Polistes (Polistes) associus雄性触角

图4-296-5 跳马蜂Polistes (Polistes) associus地理分布图