大渡岗匙角狭腹胡蜂Cochlischnogaster daduogangensis Dong...
2026年01月14日
320.大渡岗匙角狭腹胡蜂
Cochlischnogaster
daduogangensis Dong
et Otsuka, 1997
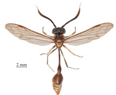
【测量】 雌性体长10.5~11.0 mm,前翅长9.0~9.5 mm;雄性体长10.5~11.0 mm,前翅长9.0~9.5 mm。
【形态特征】 体褐色至黑褐色,具少量黄色斑,其中雄性黄斑较雌性的多或大,前胸背板基部具1对顿号状斑;头顶具粗纵皱,毛稀疏;雌性触角第7~11节、雄性触角第7~10节逐渐变粗,触角第3节为第4节长的2倍;单眼圆,前单眼大于后单眼,后单眼间距为后单眼与复眼间距的0.9倍;雌性唇基除尖齿外整个端部宽、端角约60°,雄性唇基顶端钝圆,雄性上颚无齿。第2腹节基部稍收缩为短柄状,具稍长的外缘毛;腹柄细,圆筒形、光滑、具光泽,长为端部最宽处的6倍。
【地理分布】 云南(西双版纳)。(https://www.daowen.com)

图5-320-1 大渡岗匙角狭腹胡蜂Cochlischnogasterdaduogangensis雌性背面观

图5-320-2 大渡岗匙角狭腹胡蜂Cochlischnogasterdaduogangensis雄性背面观

图5-320-3 大渡岗匙角狭腹胡蜂Cochlischnogasterdaduogangensis雌性头部正面观

图5-320-4 大渡岗匙角狭腹胡蜂Cochlischnogasterdaduogangensis地理分布图