环黄胡蜂Vespula orbata (du Buysson, 1902)
【测量】 雌性体长13.0~16.5 mm,前翅长12.0~14.5 mm;雄性体长9.0~11.0 mm,前翅长11.5~12.0 mm。
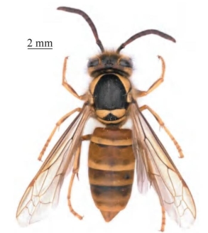
【形态特征】 背面观体具黑、黄和棕3种颜色,头顶棕色尤其明显,中胸盾片常具1个棕红色大斑块(腹部几乎无黑色时,盾片为纯黑色),前胸背板和中胸小盾片棕色有时较少,腹部第1、2节背板条带常黄色且窄于其余各节,第3节至末节条带更宽且为黄棕色,最后3或4节可见部分几乎全为黄棕色(有时腹部除第1、2节黄色条带外,其余几乎全为棕红色)。雌性额区触角间无凸起或退化状,唇基端缘略凹陷,两侧角不明显,宽弧形;后头脊延长至上颚基部。中胸盾片刻点略稀疏,刻点间距通常大于刻点直径;后胸侧板腹面无粗壮的褶皱;并胸腹节密生刻点,刻点间具褶皱,工蜂的褶皱不明显。腹部第1节背板前垂直面凹陷明显,雌性腹部末节腹板侧在近端部突然变窄,几乎形成90°陡坡;雄性末节背板两侧在接近末端处近似截状,背面观呈四边形;生殖器背端突呈刺状,阳基侧突端刺末端不明显变窄、呈指状。
【地理分布】 云南(怒江、楚雄、德宏、玉溪、保山、红河)、西藏;印度,尼泊尔,缅甸。

图6-364-1 环黄胡蜂Vespula orbata雌性(工蜂)背面观

图6-364-2 环黄胡蜂Vespula orbata雌性(工蜂,特殊色型)背面观(https://www.daowen.com)

图6-364-3 环黄胡蜂Vespula orbata雌性(蜂王)背面观

图6-364-4 环黄胡蜂Vespula orbata雌性(工蜂)头部正面观

图6-364-5 环黄胡蜂Vespula orbata雄性腹部末节腹面观

图6-364-6 环黄胡蜂Vespula orbata地理分布图

图6-364-7 环黄胡蜂Vespula orbata生态图(云南屏边大围山 陈尽虫 摄)