叉胸异腹胡蜂Parapolybia nodosa van der Vecht, 1966
2026年01月14日
278.叉胸异腹胡蜂
Parapolybia
nodosa van der Vecht, 1966
【测量】 雌性体长11.5~13.5 mm,前翅长10.5~11.5 mm;雄性体长10.5~12.0 mm,前翅长9.5~11.0 mm。
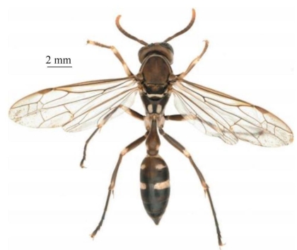
【形态特征】 体棕褐色至黑色,浅色斑为象牙白色,其中中胸盾片几乎全为棕褐色,偶具1对不明显的窄条带;后胸背板末端具深棕色或黑色斑点;翅透明,无深色斑;腹部第1~3节背板分别具1对象牙白色的侧斑。唇基宽大于长。后胸背板五边形,密生短刚毛,基部中纵脊明显;并胸腹节倾斜,具中纵脊,几乎无横皱。腹部第1节背板端部较宽,腹柄长分别为端部宽的2.5倍、为端部高的3倍。
【地理分布】 四川(峨眉山)、贵州(凯里、茂兰、荔波、铜仁、施秉)、江西(崇义)、湖南(江永)、福建(武夷山)、广东(惠州、广州)、广西(来宾、兴安)、海南(定安)、台湾、香港;印度,尼泊尔,缅甸,泰国。

图4-278-1 叉胸异腹胡蜂Parapolybia nodosa雌性背面观(https://www.daowen.com)

图4-278-2 叉胸异腹胡蜂Parapolybia nodosa雌性头部正面观

图4-278-3 叉胸异腹胡蜂Parapolybia nodosa雌性头部侧面观

图4-278-4 叉胸异腹胡蜂Parapolybia nodosa地理分布图

图4-278-5 叉胸异腹胡蜂Parapolybia nodosa生态图(广东广州 陈尽虫 摄)