印度异腹胡蜂Parapolybia indica (de Saussure, 1854)
2026年01月14日
277.印度异腹胡蜂
Parapolybia
indica (de Saussure, 1854)
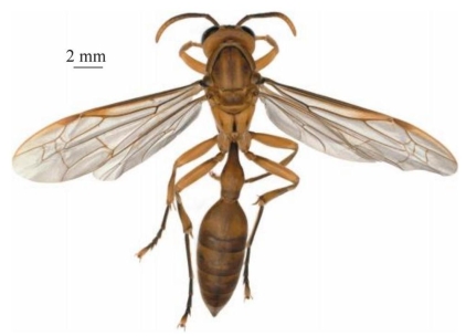
【测量】 雌性体长13.5~18.5 mm,前翅长13.0~15.4 mm;雄性体长13.5~16.5 mm,前翅长12.5~15.0 mm。
【形态特征】 体整体为棕褐色,黄色斑轮廓模糊,其中中胸盾片纵条带及腹部第2节背板的侧斑无或模糊,翅淡棕色,具紫色光泽。唇基宽大于长;颊区侧面观窄于复眼。前胸窄于头部,前胸脊明显,延伸至侧区1/2处逐渐断裂消失;侧区2/3处具1个窝穴。腹部第2节背板无或具模糊的不间断的斑;雄性阳茎侧突整体细长、基部狭窄,抱握器背突的腹侧边缘具细小刻点,生殖刺突基部无刚毛。
【地理分布】 陕西(汉中)、浙江(丽水、临安、台州)、湖南(桃源洞、武冈、衡山、张家界、永州)、福建(武夷山)、广东(南昆山、乳源、惠州)、广西(田林、大明山、兴安、岑溪)、重庆(北碚、江津)、四川(峨眉山)、贵州(凯里)、云南(西双版纳)、台湾;印度,缅甸,加里曼丹岛,韩国,日本。

图4-277-1 印度异腹胡蜂Parapolybia indica雌性背面观(https://www.daowen.com)

图4-277-2 印度异腹胡蜂Parapolybia indica雌性头部侧面观

图4-277-3 印度异腹胡蜂Parapolybia indica地理分布图

图4-277-4 印度异腹胡蜂Parapolybia indica生态图1(浙江台州 许威 摄)

图4-277-5 印度异腹胡蜂Parapolybia indica生态图2(浙江台州 许威 摄)