点铃腹胡蜂Ropalidia stigma (Smith, 1858)
【测量】 雌性体长8.0~11.0 mm,前翅长8.5~9.2 mm;雄性体长9.8~10.5 mm,前翅长9.0~9.2 mm。
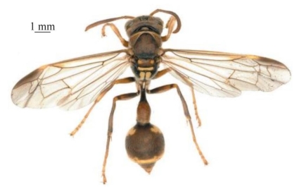
【形态特征】 体绝大部分为红棕色,明显具黄色斑和黑色斑;雌性唇基除中部黑色斑外均为黄色,雄性唇基与额区下侧、触角间的斑连成整体且为黄色,中胸盾片除端缘外大面积红棕色,颊区、前胸背板前缘、小盾片、后胸背板、并胸腹节中部,腹部第1、2节基部两侧的斑及第2节端缘条带等均为黄色;前翅缘室具褐色斑。唇基整体刻点稀疏、基部被毛未完全覆盖刻点,刻点间光滑;后单眼与复眼间距大于后单眼间距的2倍;雌性触角第3节长大于端部宽的3倍;颊区具细小刻点。中胸侧板腹侧光滑;并胸腹节背区密生细皱,基部两侧无垂直凸起的脊或纵沟,并胸腹节与腹柄基部连接处的突起较大,侧面观大部分孔口较模糊;前翅第2亚缘室基部角度明显小于90°。腹部第1节明显柄状,侧面观长大于高的2.5倍,第2节背板端部无凸起,腹部刻点整体不明显,似革质状。
【地理分布】 广东、广西(南宁、百色、河池)、海南、四川(彭州)、贵州(铜仁)、云南(西双版纳、普洱、文山、德宏)、西藏(墨脱)、香港;加里曼丹岛,印度,马来西亚半岛,缅甸,尼泊尔,菲律宾群岛,斯里兰卡,印度尼西亚,泰国,越南。

图4-316-1 点铃腹胡蜂Ropalidia stigma雌性背面观
(https://www.daowen.com)
图4-316-2 点铃腹胡蜂Ropalidia stigma雌性头部正面观

图4-316-3 点铃腹胡蜂Ropalidia stigma雌性腹部第1节侧面观

图4-316-4 点铃腹胡蜂Ropalidia stigma地理分布图

图4-316-5 点铃腹胡蜂Ropalidia stigma生态图1(广州番禺 刘庆明 摄)

图4-316-6 点铃腹胡蜂Ropalidia stigma生态图2(香港 Christophe Barthélémy 摄)