二、断层油气藏
(一)断层圈闭的形成机理
凡是储集层上倾方向或各个方向由断层封闭而形成的圈闭,都称断层圈闭。虽然储集层顶、底界存在非渗透性岩层对断层圈闭来说,是不可缺少的,但这对任一圈闭来说,都是一个基本条件。因此,在断层圈闭中特别强调了断层对圈闭形成的重要作用。断层能否形成断层圈闭,主要取决于以下两个方面:一是断层本身的封闭性;二是在构造图上断层线与构造等高线(或岩性尖灭线)能否构成一个闭合区。

图4-11 大庆油田构造图及油藏剖面示意图(据大庆油田,1977)
断层本身的封闭性是能否形成断层圈闭及断层油气藏的基本条件之一。我们知道,不是任何一条断层都具有封闭性,不具封闭性的断层,不仅不能遮挡油气,形成油气藏,相反,它还会成为油气运移的通道,破坏油气藏。因此,对断层圈闭或油气藏来说,断层封闭性的研究是极为重要的。
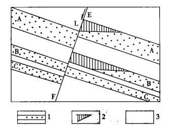
决定断层封闭性的因素最主要的是断层两盘的岩性组合及其接触关系(图4-12)。一般说来,如果断层使储集层上倾方向完全与非渗透性岩层相接触(图4-12 B层),则可形成完全封闭。在这种情况下,断层圈闭的闭合面积为储集层顶面构造等高线与断层线所构成的闭合区,闭合度则为圈闭顶点到闭合等高线的高差。如果断层使储集层上倾方向与渗透层相接触时(图4-12 C层),则断层不起封闭作用,不能形成断层圈闭。如果断层使储集层上倾方向的上方一部分与非渗透性岩层相接触时(图4-12 A层),则形成部分封闭。有时在同生断层发育地区,储集层上方的粘土层,在同生断层活动时发生沿断面向下的塑性流动,并被挤入下伏砂岩储集层中,形成一个天然泥饼,从而可形成流动泥(页)岩遮挡(图4-13),这也是一种部分封闭。在部分封闭时,断层圈闭的闭合面积和闭合度都较完全封闭时要小。
断层圈闭的形成是一个复杂的过程,是多因素综合作用的结果。其中断层本身的封闭性是断层圈闭形成的核心。目前研究断层的封闭性一般以定性和定量的方法相结合,并取得了较大进展。

图4-12 断层封闭油气概念图(据Hobson,1956)
1—砂岩;2—油气;3—粘土

图4-13 流动页岩封闭概念图(转引自王燮培,1976)
(二)断层油气藏的特点
单一断层圈闭中聚集了工业规模的石油和天然气后,即成为断层油气藏。断层油气藏是地壳上广泛分布的一种油气藏类型。由于断层在这类油气藏形成中的作用极为复杂,因此,断层油气藏常具有自己的某些特点。
油气层上倾方向或各个方向被断层所限是断层油气藏的基本特点之一。
由于断层发育使油气藏复杂化,断层油气藏常具有多、杂、乱、散的特点。即在构造复杂的断裂带,断层油气藏形式、个数较多,油气水关系复杂,各断块含油层位、含油高度和含油面积都可能很不一致,含油断块分散,分割性强。
断层附近储集层渗透性变好。沿断裂带的岩石,常被挤压而破裂形成裂隙,增大了储集层的渗透性,使油气富集于断层附近。特别是在致密性脆而易碎的储集层内,这种现象尤为显著。(https://www.daowen.com)
断层油气藏的闭合高度和闭合面积取决于断距大小,盖层和储集层厚度,同时还与断层位置及性质有关。如断层发育在鼻状构造翘起部分,或发生在闭合度小的构造沿区域倾斜翘起的方向,且断层又是封闭的,则将增加其含油面积和含油高度。
油气富集带常在断层靠近油源一侧。复杂性和多样性是断层油气藏固有的特点,并且与各时期构造运动的性质和强弱有关。因此,掌握和了解一个地区的构造运动规律,将有利于断层油气藏的勘探。
(三)断层油气藏的主要类型
断层圈闭的形式是多种多样的,但在成因上它们又有着内在的联系,最基本的共同点,就是它们都是在储集层的上倾方向为断层所封闭。根据断层圈闭的形成条件和形态特征,断层圈闭和油气藏可分为以下四种基本类型:①弯曲或交错断层与单斜地层结合形成的断层或断块圈闭和油气藏(图4-14 A);②三个或更多断层与单斜或弯曲地层结合形成的断层或断块圈闭和油气藏(图4-14 B);③单一断层与褶皱(或背斜一部分)结合形成的断层或断块圈闭和油气藏(图4-14 C);④逆断层和逆掩断层与背斜的一部分结合形成的断层圈闭和油气藏(图4-14 D)。

图4-14 断层油气藏基本类型平面与剖面图(转引自陈荣书,1994)
图中黑色和斜线代表油气
不同类型的沉积盆地,甚至在同一沉积盆地的不同构造带,断层发育情况和特点也各不相同。因此,不同油气区的断层圈闭和油气藏都有自己的特点。
我国新疆克拉玛依油田(图4-15)可作为断层油气藏群体的典型实例之一。该油田除西北侧靠近盆地边缘地区外,在断裂带主要断层发育区,都以断层油气藏为主,各断块油气藏都具有独立的压力系统、油气产量和油气边界,甚至产油层的层数都各不相同。近来的研究表明,北东向克-乌主断裂带具有明显的逆掩断层性质,石炭系楔状推覆体掩盖在二叠系和石炭系之上,其宽度达11~30km,断面倾角向下变缓,呈犁状。在断层下盘已发现有反向遮挡的断层油气藏。这一发现,不仅为克拉玛依油田开辟了广阔的勘探新领域,同时也为我国今后在构造复杂带中寻找新油气藏类型开辟了良好的前景。
在我国西部褶皱较强烈的山前带,常出现逆或逆掩断层与背斜一翼结合形成的逆断层或逆掩断层油气藏。前面介绍过的老君庙油田北翼L层中的断层油藏也是一例。
在我国东部新生代断陷沉积盆地中,常发育与同生断层下降盘逆牵引有关的背斜油气藏和反向正断层上升盘中的“屋脊断块”油气藏。东濮凹陷文92断块油田就是这类油气藏的一个实例(图4-16)。
值得注意的是,在确定断层油气藏时,有时会将一个拥有众多断块油气藏的复杂断裂构造带,与一个被断层复杂化的背斜油气藏相混淆。因为它们在平面形态上常常很相似,但二者最根本的区别在于,背斜油气藏中仍然保持有统一的压力系统和油气水分布,而复杂的断块油气藏虽在总体形态上仍具有背斜轮廓,但其中已被断层分割成一些独立的含油断块,这些含油断块彼此之间往往具有很大差异。它们的含油层位和数目、含油高度、油层厚度、油气水界面深度、原油性质、油层压力以及生产能力等都可以很不相同,即使是两个紧邻的断块,也常常有较大差异。

图4-15 克拉玛依油田平面及剖面图(转引自陈荣书,1994)
1—构造等高线/m;2—断层;3—砾岩、砾状砂岩;4—裂隙;5—地质分区编号;6—侵蚀区;7—砂岩发育区;①岩性油藏;②地层超覆不整合油藏;③基岩油藏;④断层油藏

图4-16 东濮凹陷文92块油气藏平面及剖面图(据中原油田,1987)