三、礁型油气藏
(一)礁型圈闭形成机理
礁型圈闭是指具有良好孔、渗性的储集岩体——礁体(或礁组合),上方和四周被非渗透性岩层封闭而形成的闭合低势区。
礁体不仅具有生物骨架孔隙、碎屑粒间孔隙,而且由于礁接近水面有时甚至露出水面,侵蚀和溶蚀作用对礁体储集性的增加均起重要作用。因此有些学者主张把礁型油气藏归入不整合型中。
礁是生长体,加上差异压实作用,在礁体上方可能形成压实背斜。礁形成后,后期的构造运动、白云岩化和溶蚀作用都可能对其储集性的提高有重要的作用。
在多种影响礁型圈闭储集层性能的因素中,礁沉积环境和生长方式是最重要的因素,它既不同于一般岩性变化,也不同于不整合作用。因此,编者赞同将它作为地层圈闭中与岩性、不整合并列的一类圈闭。
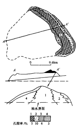
礁型圈闭闭合面积的确定,也有其特殊性。作为生长构造的礁体,礁顶面的构造等高线和礁体等高线大致可以圈定其分布范围,图4-37和图4-38分别按背斜圈闭和岩性圈闭原则圈定的礁型圈闭的范围和油气藏分布的平、剖面图。

图4-37 美国斯奈德-斯克雷油田平面及剖面图(据Levorsen,1954)
礁型圈闭中构成礁体上方和周围非渗透岩层的岩石类型是多种多样的,可以是泥质岩、膏盐层、泥灰岩和泥质灰岩。
(二)礁型油气藏的特点
礁型圈闭中聚集工业性的油气后就成为礁型油气藏。它常具有以下一些特点:
(https://www.daowen.com)
图4-38 加拿大斯特赖钱礁型气藏含气礁块厚度及气田剖面图
1)礁型油气藏中的油气分布情况,在很大程度上取决于礁型储集体的均一性,油气可以充满整个礁体,也可以只充满礁体的一部分,甚至有的礁型油气藏仅仅位于礁前砾(粒)屑带,如加拿大阿尔伯达盆地的红水礁型油田(图4-39)。
2)礁型油气藏储集空间类型多,储集物性好,含油气丰富,一般都具有高产的特征。世界上有10口日产量曾达万吨以上的高产井,其中有4口来自礁型油气藏。
3)礁型油气藏常在一定的古地理环境背景(地台边缘或凹陷边缘)下,成群成带分布,构成一个巨大的含油气带。一个地区如果发现了一个礁型油气藏,往往可在其附近发现多个类似的油气藏。
(三)礁型油气藏的主要类型
根据礁的形态特征及其与陆地的关系,礁可分为:①岸礁(裾礁、边礁)——发育于海岸边缘;②堡礁(堤礁、障壁礁)——发育于海岸外,与陆地之间隔潟湖,即发育于潟湖与海盆之间;③环礁与马蹄礁——一般发育于碳酸盐台地之上,环礁面向海盆,中心有一潟湖;④台礁、塔(尖柱)礁——一般是全部或局部浸没在海水中的孤礁,浸没在海中的称海中山或海底平顶山,生长迅速的称塔礁或柱礁。相应地,礁型油气藏可分为上述4类。

图4-39 加拿大红水礁组合岩相分带及油气分布图(据Shatford,1970)
1—礁核带;2—粒状碎屑带;3—碎屑填充带;4—礁后碎屑带
前面提及的加拿大红水油田属于台礁油气藏,阿尔伯达盆地雨虹区广泛发育塔礁型油气藏(图4-40)。此外,利比亚的英蒂萨、印度尼西亚萨拉瓦提盆地的卡西姆-怀洛地区的礁型油气藏都属于这一类型。墨西哥的黄金巷和海上黄金巷属于巨大环礁油气聚集带。前苏联前乌拉尔礁型油气田带和阿尔伯达的瑞姆彼-圣·阿尔伯达线状礁带则属于堤礁型。

图4-40 加拿大雨虹礁型油气藏分布图(据Barss等,1970)